Набережная Исети в районе Малышева подлежит реконструкции: ценник превышает миллион
В ближайшее время стартуют работы по реконструкции береговой линии Исети в районе ул. Малышева и благоустройству прилегающей территории. Ремонтные работы начнутся под мостом, на левом берегу реки.
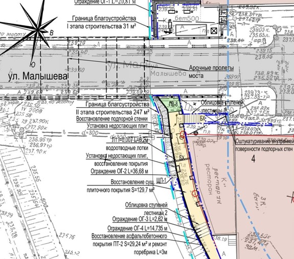
Этой осенью запланировано провести ремонт тротуара около дома №56 по ул. Малышева, рядом с которым находится «Доктор Скотч Паб», подпорную стену одноэтажного дома на ул. Малышева №31 также решено реконструировать. Кроме укрепления береговой линии Исети, согласно схеме работ, планируется благоустроить всю прилегающую территорию набережной: в частности, восстановить недостающие плиты и асфальтобетонное покрытие, облицевать ступени, установить ограждения, передает E1.Ru.
Ремонтные работы на набережной городского пруда в районе ул. Малышева должны завершиться к ноябрю. Согласно данным портала госзакупок, стоимость проведения реконструкционных работ на данном участке не превысит 1,25 млн руб.

Схема проведения работ по благоустройству территории в районе ул. Малышева и набережной Исети. Кликните для увеличения фото.
Как сообщал DK.RU, в марте стало известно о том, что до чемпионата мира по футболу 2018 г. в Екатеринбурге планируется обустроить пешеходную зону под мостом через Исеть на ул. Малышева. В мэрии рассматривают два варианта перестройки сооружения. Первый подразумевает пробивку прохода у пролета сооружения со стороны ул. Добролюбова, а второй — создание пешеходной дорожки через одну из существующих арок моста.
Напомним, проектные работы власти планируют начать в этом году. Они пройдут в два этапа: сначала специалисты выявят охранные зоны моста, который является памятником архитектуры, а затем выберут один из вариантов реконструкции. Завершить работы планируется к весне 2016 г. Оценить стоимость работ в горадминистрации пока затрудняются.



